9615508234

RENTA | Terreno comercial en Jiquipilas

Jiquipilas Centro, Jiquipilas, Chiapas

  • Terreno
  • 715 m² de terreno
  • $25,000 MXN En Renta

Descripción

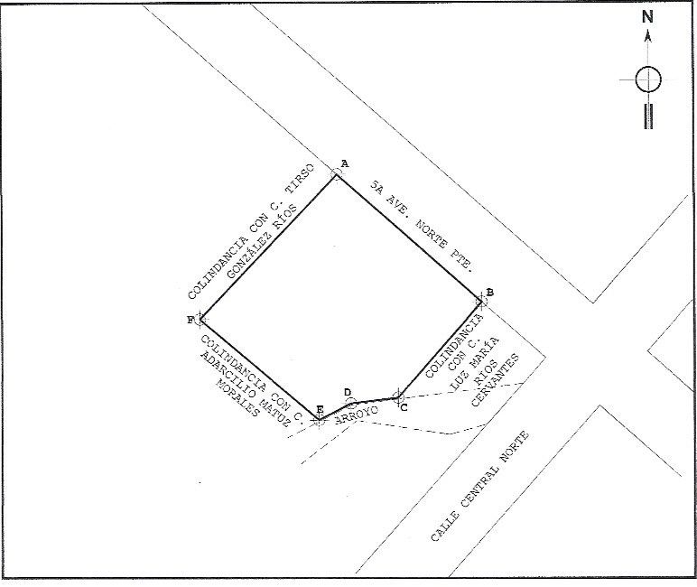
Terreno en renta con ubicación estratégica sobre 5ª Avenida, entre Calle Central y 1ª Poniente, en una de las vialidades con mayor tránsito vehicular y peatonal del municipio.

Perfil ideal: Franquicias y proyectos de expansión comercial

Su amplio frente y condiciones físicas lo convierten en una excelente opción para marcas que buscan posicionamiento, visibilidad y presencia dominante en la zona.

Características Técnicas
• Superficie total: 715 m²
• Frente: 27 metros lineales
• Topografía: Terreno plano
• Servicios: Disponibilidad de servicios públicos
• Accesos: Conectividad inmediata a vialidades principales
• Uso potencial: Comercial

Ventajas Estratégicas para Franquicias
• Alta exposición de marca por amplitud de frente
• Ubicación en zona céntrica y consolidada
• Espacio óptimo para desarrollo de punto de venta
• Ideal para cadenas de conveniencia, farmacias y restaurantes.
• Oportunidad de posicionamiento temprano en mercado local

Este inmueble representa una opción sólida para empresas que buscan expandirse en un mercado con potencial de crecimiento regional

Características

Exterior
  • Facilidad para estacionarse
General
  • Accesibilidad para adultos mayores
  • Accesibilidad para personas con discapacidad

Detalles

ID:EB-VI0100
Tipo:Terreno
Renta: $25,000 MXN
Terreno:715 m²
Fondo del terreno:27 m
Frente del terreno:27 m