Inmobitaria

  • 9615508234
  • inmobitaria.easybroker.com

TERRENOS EN VENTA EN VEREDALTA SAN PEDRO GARZA GARCIA

Veredalta, San Pedro Garza García

$31,509,840 For Sale

  • 926.76 m² Lot Size
  • 31.99 m Lot Width
  • EB-QP4020 ID
Description

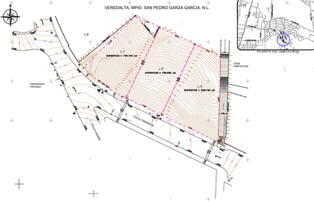
3 terrenos en venta en Col. Veredalta San Pedro Garza Garcia NL.

Excelente ubicación en medio de todo con impresionantes vistas panorámicas.

L5 Superficie 926.76mt2.
$31,509,840.00Cuenta con un frente de 31.99mts para una fachada muy lucidora.
Polígono irregular.
Descendente.


L6 Superficie 799.99 mts
$27,199,660.09
frente de 20mts y un fondo de 40 mts.
Polígono regular.
Descendente.

L7 Superficie 786.73 mts2
$26,748,820.00
con un frente 26.85 mt2
Polígono irregular.
Descendente.


Esta propiedad será sujeta a disponibilidad y el precio estará sujeto a cambios sin previo aviso.

En el caso de VENTA los precios estipulados son mas los impuestos correspondientes.

El envío de esta ficha no compromete a las partes a la suscripción de ningún documento legal.

La información y medidas son aproximadas y deberán ser ratificadas con la documentación original de cada propiedad.

Inmobitaria

  • 9615508234
  • inmobitaria.easybroker.com

Inmobitaria

  • 9615508234
  • inmobitaria.easybroker.com