Inmobitaria

  • 9615508234
  • inmobitaria.easybroker.com

¡¡SI BUSCAS INVERTIR EN LA COMPRA DE UN TERRENO, NOSOTROS LO TENEMOS!!

Real del Bosque, Tuxtla Gutiérrez

$1,600 per m² For Sale

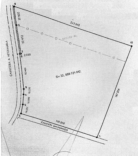
  • 33,889.72 m² Lot Size
  • 223 m Lot Length
  • 201 m Lot Width
  • EB-SM8571 ID
Description

Para asegurar tu futuro, crea un patrimonio seguro a través de la compra de bienes raíces.
Ubicado en Carretera Tuxtla Gtz. a Emiliano Zapata s/n, Terán

Un lote de inversión siempre se espera un gran crecimiento urbano a mediano o largo plazo, ésta es la mayor diferencia que presentan frente a los terrenos residenciales.
Gracias a esta característica los terrenos de inversión son propensos a tener un mayor crecimiento en plusvalía.

Superficie: 33,889.72
Colindancias
Norte: 223.042 m, con propiedad reservada.
Sur: 150.00 m, con callejón innominado con salida hacia la carretera que conduce a la escuela de veterinaria.
Oriente: 187.054 m, con propiedad reservada
Poniente(Frente): 201.063 m, curvatura de la carretera que conduce a la escuela de veterinaria.

Se anexa plano

Amenities
  • Street parking

Inmobitaria

  • 9615508234
  • inmobitaria.easybroker.com