Inmobitaria

  • 9615508234
  • inmobitaria.easybroker.com

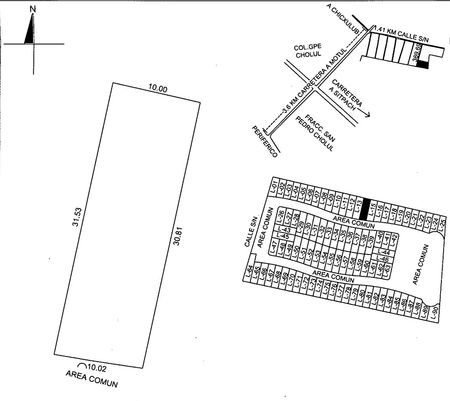
Morera Lote 14

Cholul, Mérida

$3,500 MXN per m² For Sale

  • 312.5 m² Lot Size
  • Under Construction Age
  • EB-UY3981 ID
Description

Una privada de 90 lotes residenciales, en Morera la Plusvalía aumenta año con año debido a la cercanía de esta zona con puntos importantes, como hospitales, plazas, comercios, escuelas, universidades y su cercanía a las carreteras que rápidamente conectan con las playas de Yucatán y zonas turísticas.

AMENIDADES:
-Cancha de padel
-Salón de eventos
-Área infantil
-Alberca
-Grill zone

*Precios y disponibilidad sujetos a cambio sin precio aviso.

Amenities
  • Street parking
  • Private housing development
  • 24 Hour Security
  • Pool
  • Playground
  • Tennis court
  • Multipurpose room

Inmobitaria

  • 9615508234
  • inmobitaria.easybroker.com